Veřejná zakázka: II/408, II/415, III/4157 Hevlín, okružní křižovatka – studie, DSP/PDPS, SP, IČ, AD

Informace o veřejné zakázce

fáze zadávacího řízení Zadáno
Zakázka byla zadána.
DBID: 12636
Systémové číslo: P17V00002667
Dle zákona: č. 134/2016 Sb.
Evidenční číslo ve VVZ: 033549
Datum zahájení: 28.11.2017
Nabídku podat do: 04.01.2018 09:00

Název, druh veřejné zakázky a popis předmětu

  • Název: II/408, II/415, III/4157 Hevlín, okružní křižovatka – studie, DSP/PDPS, SP, IČ, AD
  • Druh veřejné zakázky: Služby

Stručný popis předmětu:
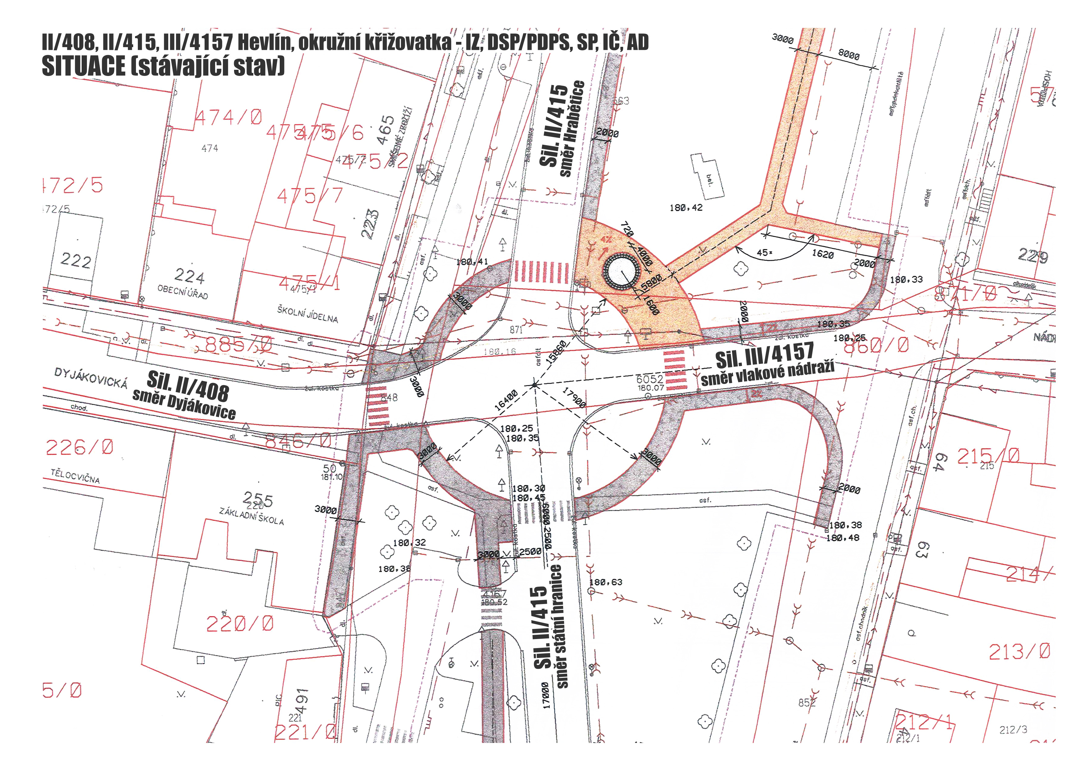
Předmětem zakázky je zpracování projektové dokumentace ( ve stupni studie, DSP/PDPS ) vč. souvisejících průzkumů. Součástí zakázky je také soupis prací (SP) a inženýrská činnost (IČ) nutná k zajištění vyjádření, stanovisek a podkladů nutných podání žádosti o vydání územního rozhodnutí a stavebního povolení na uvedenou akci. Dále je součástí ocenění výkonu autorského dozoru (AD) při vlastní realizaci akce.
Projektová dokumentace bude řešit novou okružní křizovatku silnic II/408, II/415 a III/4157 v průtahu obcí Hevlín. Součástí projektové dokumentace bude také zpracování veškerých souvisejících objektů, jako jsou přeložky sítí apod.

Druh zadávacího řízení, předpokládaná hodnota

  • Druh řízení: otevřené řízení
  • Režim veřejné zakázky: nadlimitní
  • Předpokládaná hodnota: 332 500 Kč bez DPH

Zadavatel

  • Úřední název: Správa a údržba silnic Jihomoravského kraje, příspěvková organizace kraje
  • IČO: 70932581
  • Poštovní adresa:
    Žerotínovo náměstí 449/3
    Brno 602 00
  • Id profilu zadavatele ve VVZ: 208538

Adresa kontaktního místa

Nabídky, resp. žádosti o účast podávat na:
Ořechovská 35
Brno 619 00

Položky předmětu (CPV)

Zadávací dokumentace

Vysvětlení, doplnění, změny zadávací dokumentace

Veřejné dokumenty

Formuláře

URL odkazy

Plnění smlouvy na základě veřejné zakázky